Курганский рыбак наловил двухкилограммовых карасей на необычную приманку. Фото
12 октября 2025 в 17:44

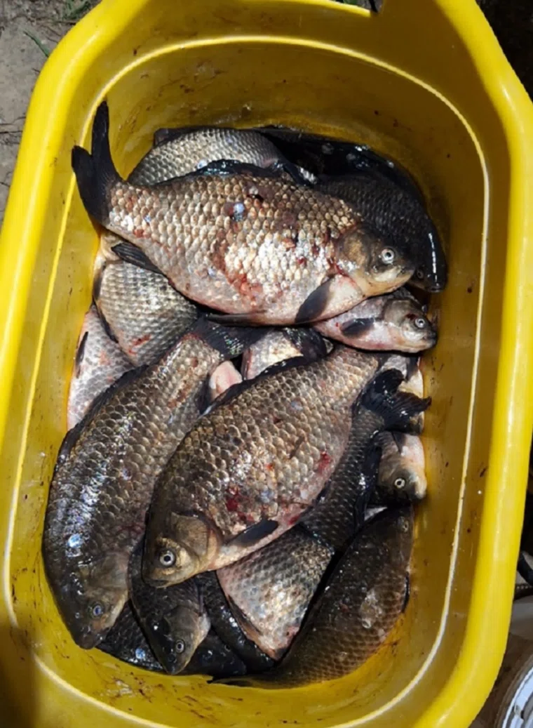
В Курганской области рыбак наловил карасей
Фото: Екатерина Сычкова © URA.RU
В Курганской области рыбак похвастался удачным уловом карасей на озере Салтосарайское. Рыба ловилась весом под два килограмма на приманку из гороха и перловки. Об этом мужчина рассказал в соцсети.
«В Белозерском округе на озере Салтосарайское хорошо клевали караси весом до 1,7 килограмма и выше. На прикормку использовали перловку и вареный горох», — сообщается в паблике «Рыбалка в Кургане 45 RUS» во «ВКонтакте».
Ранее курганец удивил рыбаков уловом в микрорайоне Черемухово. Там мужчина наловил мешок рыбы на фидер.
Продолжение после рекламы
Что случилось в Кургане? Переходите и подписывайтесь на telegram-канал «Курганистан», чтобы узнавать все новости первыми!
Комментарии (0)
Комментариев нет
Следующий материал

